Blue Coral Aqaba, Jordan
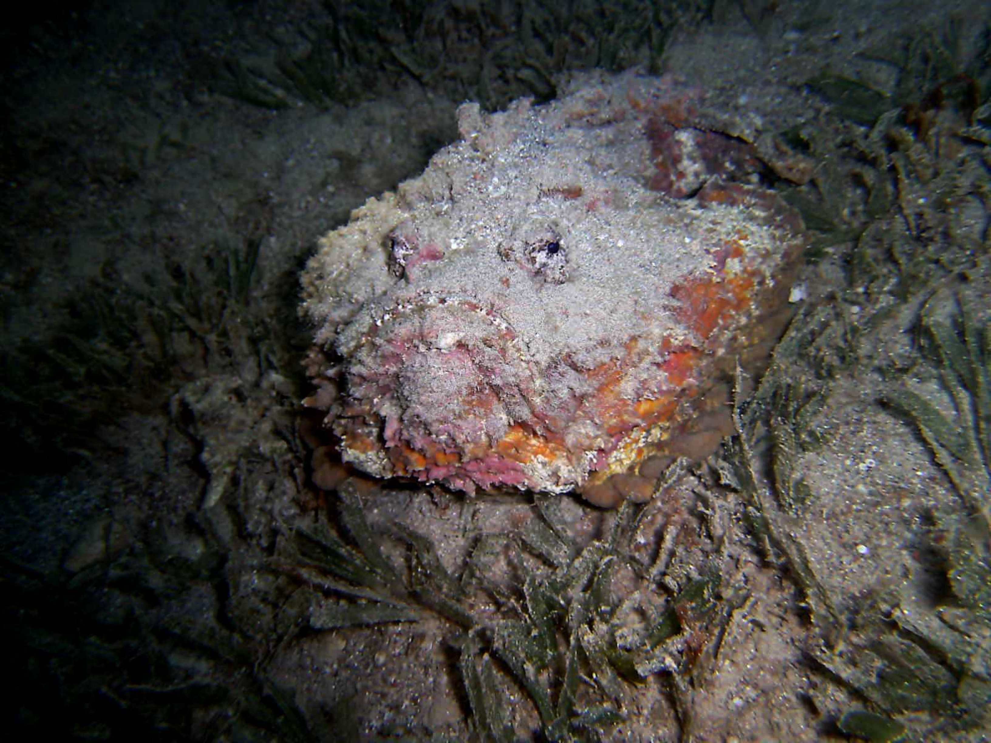
Covering this large, varied, and very healthy set of 3 finger reefs in a single dive is just about impossible. You could easily use your whole tank exploring a single coral head for frogfish, crocodilefish, and nudibranchs, surrounded by fusiliers - but there's always something new just ahead, and the reef extends well beyond sight...

Blue Coral Dive Site: Dive Metrics & Features
- Location
- : 29.41499, 34.97508
- True name
- : Blue Coral
- Depth
- : 10m to 25m+
- Conditions
- : Varied topography, excessive depth
- Visibility
- : Excellent (20m+)
- Platform
- : Shore
- Level
- : Beginner to Advanced
- Snorkelling
- : Yes
- Other names used
- : N/A
Blue Coral: Dive Site Overview
We will enter from the shore and descend here to a depth of around 12m. Blue Coral – names for, you guessed it, this site’s remarkable displays of blue Acropora coral – is entirely open-ended in terms of direction and depth. The reef begins at 10m and extends all the way out to 25m with 3 massive coral shelves and a number of pinnacles poking out of a sandy bottom and seagrass bed. So where do you want to go?

Stick to the shallows, and you’ll see turtles, morays, reef fish, rays, and invertebrates galore – especially nudibranchs, for which Blue Coral is particularly well-known. If we head down a little deeper, we’ll start to see schools of larger fish feeding over the reef, larger sponges and even more impressive soft and hard corals.

With sandy gullies separating the 3 finger reefs, most divers choose to dive one at a time, saving the others for future dives – there’s simply too much life at Blue Coral to cover it all at once.


This site is particularly great at night, since its varying depths and topography offer a variety of experiences, but its overall simple, sloping layout are easy to navigate.

